Mürselpaşa Bulvarı'nda trafik düzenlemesi
14 Eylül 2021 - 08:19
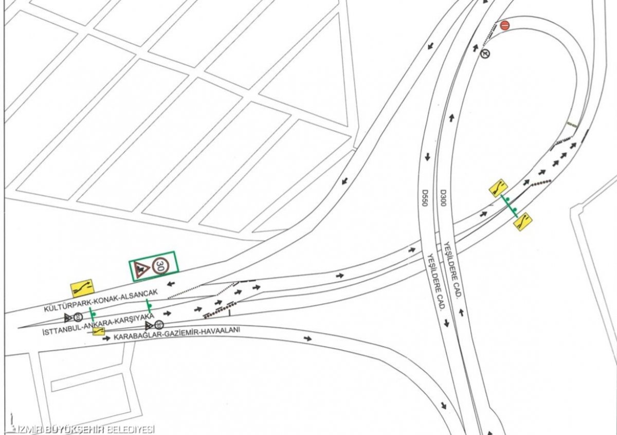
İzmir Büyükşehir Belediyesi İZSU Genel Müdürlüğü tarafından İzmir Ana Kuşaklama Kanalı'nda temizlik, bakım ve onarım çalışmaları başlıyor. Çalışmalar kapsamında 14 Eylül Salı gecesinden itibaren trafik düzeninde de değişikliğe gidilecek. Yeşildere'den Mürselpaşa Bulvarı'na dönen yol trafiğe kapatılacak. Yeşildere Caddesi'nden Basmane yönüne gitmek için eski DGM Binası önünden ya da Halkapınar köprüsünün altından dönüş yapılabilecek. Mürselpaşa Bulvarı'ndan Karşıyaka-Bornova yönüne gidiş yolu çalışma süresince karşı şeride alınacak.
Temizlik, bakım ve onarım çalışmalarının 15 günde tamamlanması ve trafik düzeninin normale dönmesi planlanıyor.
Bu haber 1799 defa okunmuştur.






FACEBOOK YORUMLAR